Hurricane Melissa churns across Cuba as a Category 3 storm
Hurricane Melissa struck Jamaica on Tuesday with top sustained winds of 185 mph before weakening over land.
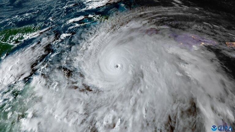
SANTIAGO DE CUBA, Cuba (AP) — Hurricane Melissa was grinding across Cuba on Wednesday as a Category 3 storm after pummeling Jamaica as one of the strongest Atlantic hurricanes on record, the U.S. National Hurricane Center said.
Hundreds of thousands of people in Cuba had been evacuated to shelters. A hurricane warning was in effect for Granma, Santiago de Cuba, Guantánamo, Holguin and Las Tunas provinces as well as the southeastern and central Bahamas.
Melissa had top sustained winds of 105 mph (165 kph) and was moving north-northeast at 14 mph (22 kph) according to the National Hurricane Center in Miami. The hurricane was centered 45 miles (70 kilometers) northwest of Guantánamo, Cuba, and 205 miles (335 kilometers) south of the central Bahamas.
The agency warned that preparations for the storm in the Bahamas “should be rushed to completion.”
Melissa struck Jamaica on Tuesday with top sustained winds of 185 mph (295 kph) before weakening over land.
It was forecast to continue weakening as it crossed Cuba and remain a strong hurricane as it moves across the southeastern or central Bahamas later Wednesday. The storm is expected to make its way late Thursday near or to the west of Bermuda, where a hurricane watch is in effect.
The storm was expected to generate a storm surge of up to 12 feet (3.6 meters) in the region and drop up to 20 inches (51 centimeters) of rain in parts of eastern Cuba. The intense rain could cause life-threatening flooding with numerous landslides, U.S. forecasters said.
The hurricane could worsen Cuba’s severe economic crisis, which already has led to prolonged power blackouts, as well as fuel and food shortages.
“There will be a lot of work to do. We know there will be a lot of damage,” Cuban President Miguel Díaz-Canel said in a televised address, adding that “no one is left behind and no resources are spared to protect the lives of the population.”
He urged the population not to underestimate the power of Melissa, “the strongest ever to hit national territory.”
Officials in Jamaica were assessing the damage. More than half a million customers were without power late Tuesday as officials reported that most of the island had downed trees, power lines and extensive flooding.
Extensive damage was reported in parts of Clarendon in the south and in the southwestern parish of St. Elizabeth, which was “under water,” said Desmond McKenzie, deputy chairman of Jamaica’s Disaster Risk Management Council.
The storm damaged four hospitals and left one without power, forcing officials to evacuate 75 patients, McKenzie said.
The government said it hopes to reopen all of Jamaica’s airports as early as Thursday to ensure quick distribution of emergency relief supplies.
The storm already was blamed for seven deaths in the Caribbean, including three in Jamaica, three in Haiti and one in the Dominican Republic, where another person remains missing.
To comment, please create a screen name in your profile
To comment, please verify your email address
Conversation
This discussion has ended. Please join elsewhere on Boston.com